Desktop – Leaderboard

Home » Street sweeping moves to Zone 2B April 8

Posted: April 7, 2026

Street sweeping moves to Zone 2B April 8

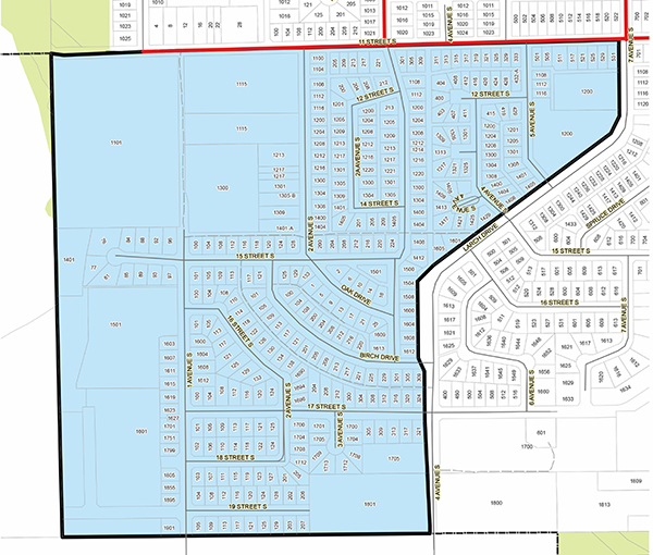
Starting on Wednesday, April 8, crews with the City of Cranbrook Public Works road team will be moving their spring street sweeping operations to Zone 2B Centre for the next few weeks to remove gravel and other debris that accumulated over the winter months.

Zone 2B Centre covers from 11th Street South to 19th Street South between 7th Avenue/Larch Drive/4th Avenue South and 12th Avenue South with work happening usually from Monday to Friday between 7:30 a.m. and 10:30 p.m.

We ask that you please make every effort to park off street wherever possible, so our team can do the best cleanup they can.

The current street sweeping map and information can be found here.

We will continue to provide additional details and up-to-date information regarding impacted street sweeping areas when crews move around various areas of the City.

You can sign up for email and text notifications right to your smartphone through our 311 app. You can download the app from Google Play or the App Store.

While spring officially marks the start of the city’s street sweeping operations, crews will continue maintenance at regular intervals throughout the spring and summer. The public will also notice sweeping operations happening before major community events, depending on the amount of street debris.

e-KNOW file photo

City of Cranbrook


Article Share
Author: